Stony Coral Tissue Loss on Florida's Coral Reef

a person applies a white paste to a coral
An NPS Coral Response Team member is using the best available method of treatment by applying an antibiotic paste (combination of amoxicillin and Base2b) to the lesion margins on a Dichocoenia stokesii (Elliptical Star Coral) colony.

NPS Photo by Rachel Johns

Dry Tortugas National Park is located at the southernmost point of Florida’s Coral Reef, which is North America’s only barrier reef. The Park serves as an important, protected habitat for fish and corals. Unfortunately, many of the coral reefs along Florida’s Coral Reef have been experiencing a historic outbreak of a disease called Stony Coral Tissue Loss Disease, which was first discovered in 2014. The disease poses a significant threat to coral reef communities because it has very high mortality for approximately half of the 45 species of reef-building corals found along Florida's Coral Reef.

In anticipation of Stony Coral Tissue Loss Disease reaching the Dry Tortugas corals, the park regularly monitored 30 sites beginning in September 2020. With matching funds from the state of Florida and park concessions, the park hired six biologists and established a Coral Response Team in January 2021 to focus exclusively on coral monitoring and disease response.


Stony Coral Tissue Loss Disease was first found on corals in the park on May 29 while the park's Coral Response Team was conducting a routine disease survey. They observed the telltale white lesions on 11 coral colonies of three highly susceptible coral species, Meandrina meandrites (MazeCoral), Meandrina jacksoni (White Maze Coral), and Dichocoenia stokesii (Elliptical Star Coral). These are typical "canary" species that are often the first corals within a reef community to show symptoms of Stony Coral Tissue Loss Disease during an outbreak.

Following an established response plan, the team immediately applied the most effective treatment available, an antibiotic paste
, to the infected corals. The application of the antibiotic amoxycillin has been shown to slow the spread of the disease and increase coral survival.

The proactive and aggressive monitoring of the park's Coral Response Team gave them a unique opportunity to intervene and treat affected corals much earlier in their infections than affected corals are usually able to be treated. The park has been monitoring treated corals and treatments to highly susceptible maze and elliptical star coral species appears to be slowing the disease progression. The Coral Response Team aims to conduct disease intervention as often as possible to curb the spread of the Stony Coral Tissue Loss Disease and minimize reinfection of previously treated colonies. The team is prioritizing their treatment efforts on high-priority corals including threatened species, large reproductively-active corals, and those in areas with high coral cover and biodiversity.

As of December 2021, Stony Coral Tissue Loss Disease has been documented at 69 sites within the park. Since the arrival of the disease in May, the Coral Response Team has focused heavily on intervention and has treated over 2,000 infected corals. The Coral Disease Intervention Dashboard displays the total number of corals treated throughout the Florida reef tract, including Dry Tortugas National Park.

In addition to disease response efforts, since 2019, the park and park partners have also taken preventative measures by collecting healthy corals as part of the multi-agency Coral Rescue Project.The park’s rescued corals were placed in land-based aquaria to prevent them from becoming infected, to preserve genetic diversity, and to serve as breeding stock for future restoration activities. In August 2021, several additional specimens were rescued from pillar coral colonies that were discovered by the Coral Response Team. Through collaboration efforts, these coral colonies are living safely in captivity and are being genetically analyzed to aid in the restoration of this threatened species.

Read on to learn more about Stony Coral Tissue Loss Disease.
 
white splotch on diseased coral
Dichocenia stokeseii (Elliptical Star Coral) displays irregular white blotches, a signature of Stony Coral Tissue Loss Disease.

NPS Photo by Melissa Heres

What is Stony Coral Tissue Loss Disease?

Scientists named this disease "Stony Coral Tissue Loss Disease" because it only affects stony corals, otherwise known as hard corals. It is an infectious, water-borne disease that causes tissue death in hard coral species and has the potential to damage entire reefs. While the cause of the disease is yet unknown, bacteria likely plays a role. The disease is a major threat to corals because many colonies are affected at each site (high prevalence), it’s very infectious (high rate of disease transmission), and there is high mortality associated with infection. This is the first coral disease outbreak to follow an infectious disease model.

What does it look like?

Tissue loss rapidly progresses as an irregular white band or line from the base of the coral colony to the outer edges, or as a series of irregular blotches that spread outward and often join together. Mortality rates are highly dependent on species. Even large colonies of highly susceptible species can be completely killed in months. See image above.
 

Where is the disease found?

First reported in 2014 near Virginia off the coast of Miami, Stony Coral Tissue Loss Disease is now found throughout Florida’s Coral Reef. The disease has also spread to coral reefs around the Caribbean including Jamaica, Mexico, St. Maarten, the US Virgin Islands, and the Dominican Republic.

 
a map showing that stony coral tissue loss disease is found throughout Florida's Coral reef
The progression of Stony Coral Tissue Loss Disease from 2014 to 2021.

Graphic courtesy of Fish and Wildlife Foundation of Florida

 
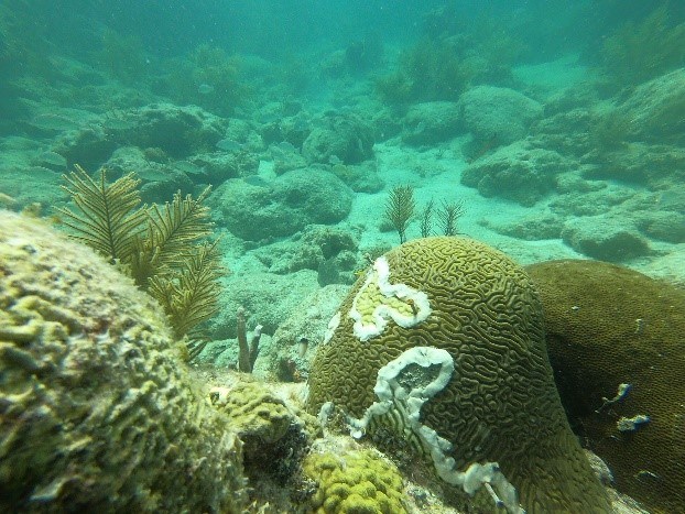
a coral is shown with a white outline (antibiotics) on it
A coral here is being treated with antibiotics (white outlines).

NPS photo

Who is leading the response effort?

The National Oceanic and Atmospheric Administration, the Florida Department of Environmental Protection, the Florida Fish and Wildlife Conservation Commission, and the National Park Service are the lead agencies responding to the Stony Coral Tissue Loss Disease outbreak in Florida, along with other government agencies, academic institutions, and conservation organizations.

What treatment options are available?

While the cause of the disease is unknown, a number of treatments have been tested to slow disease progression. To date, the most effective treatment has been the antibiotic amoxicillin mixed into the ointment Base2B, which has shown a relatively high success rate. The success of the antibiotic indicates that the disease has a bacterial component. While the treatment has proven effective, there has been some controversy surrounding the use of antibiotics on coral reefs with concern for the potential effects it may have on coral reef ecosystems. New treatment methods, such as probiotics, are currently being tested.

Where can I find out more about Stony Coral Tissue Loss Disease?

More information about Stony Coral Tissue Loss Disease and the response can be found by visiting the Florida Keys National Marine Sanctuary and the Florida Department of Environmental Protection. You can also find out more about methods used to survey corals in the park by viewing this story map created by the NPS Submerged Resources Center.

Learn how you can help keep corals healthy at the park and throughout Florida’s Coral Reef.

 

Last updated: February 15, 2022

Park footer

Contact Info

Mailing Address:

40001 SR-9336
Homestead, FL 33034

Phone:

305 242-7700

Contact Us